中国药材郑州医药有限公司医药物流园项目建设用地规划许可证批前公示
建设单位 | 中国药材郑州医药有限公司 | ||
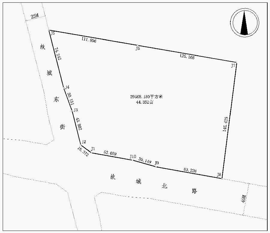
建设项目 | 中国药材郑州医药有限公司医药物流园项目 | ||
用地位置 | 郑州国际物流园区故城北路以北、故城东街以东、前程大街以西 | ||
用地性质 | 一类物流仓储用地 | 建设用地面积 | 29568.18m2 |
建筑密度 | >60% | 容积率 | >1.6 |
建筑高度 | <80米 | 绿地率 | 10%-20% |
附图 | 项目位置示意图 | ||
备注 | |||
依据《中华人民共和国城乡规划法》、《行政许可法》、《河南省城市规划公示制度》等有关法律法规,特此公示。如有意见和建议,请于公示时间内向我局反馈(66781368)。
公示日期:2016年4月22日—2016年5月3日。
中国药材郑州医药有限公司医药物流园项目公示图
